
Börßum
Platz für Ihren
Haustraum
Baugrundstück Börßum - Willkommen in Ihrem Traumhaus

Börßum – Ihr Zuhause in idealer Lage
Das charmante Börßum überzeugt durch seine attraktive Lage nahe dem Nationalpark Harz und die hervorragende Verkehrsanbindung an größere Städte. Dank kurzer Distanzen erreichen Sie bequem:
- Wolfenbüttel (14 km)
- Salzgitter (20 km)
- Braunschweig (30 km)
- Goslar (25 km)
Der örtliche Bahnhof liegt an der Strecke Braunschweig–Bad Harzburg, was eine ausgezeichnete Verbindung in die Region bietet.
Ein Ort zum Wohlfühlen – besonders für Familien
Börßum punktet mit einer gut ausgebauten Infrastruktur, die Familien besonders schätzen. Neben einem im April 2022 neu eröffneten Edeka-Markt gibt es vor Ort alles, was Sie für den Alltag benötigen: Kita, Grundschule, Ärzte, Banken und ein Restaurant.
Zudem bietet Börßum vielfältige Sport- und Freizeitmöglichkeiten – ideal für eine aktive und ausgewogene Freizeitgestaltung.
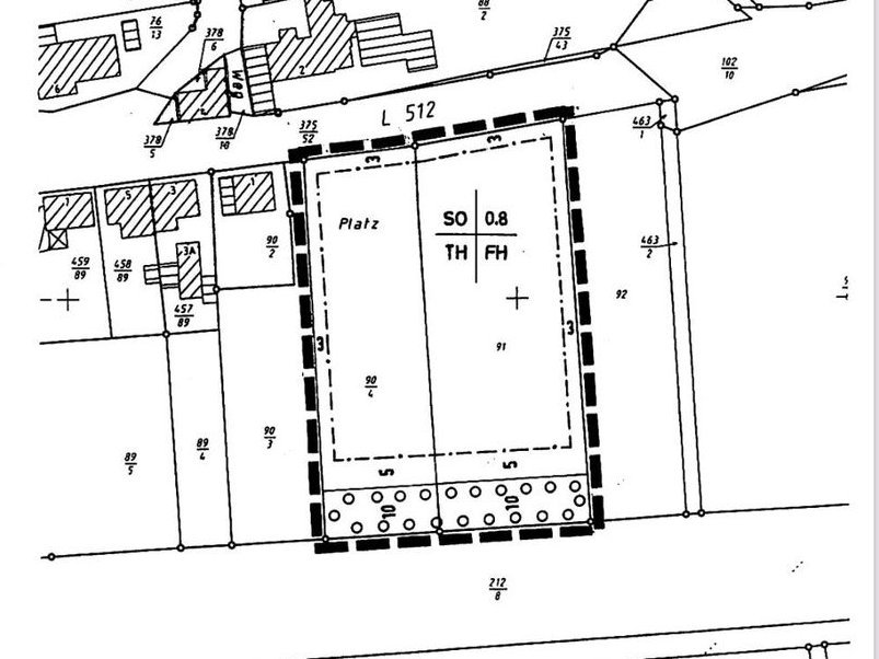
Die wichtigsten Informationen zum Baugrundstück in Börßum

- 1 Grundstück
- Größe: 2.105 qm
- Preis: 135.000€
- Nachhaltigkeit und Energie sparen mit einer Luftwasserwärmepumpe
Ihre Town & Country Haus Vollausstattung:
- Wärmepumpe: Heute bereits an Morgen denken - in jedem Haus ist eine Wärmepumpe inklusive.
Sie erfüllen die aktuellen Energiestandards, sparen bares Geld und reduzieren Ihren CO2-Fußabdruck. - Massiv gebaut und gedämmt: Wir setzen auf massives Mauerwerk. Das schont nicht nur Ressourcen und Ihr Budget, sondern dämmt auf ganz natürlichem Weg und ohne schädliches Styropor.
- Fußbodenheizung: Warme Füße? Auch die Fußbodenheizung ist inklusive. Sie steigert nicht nur den Wert Ihres Hauses, sondern sorgt ganz nebenbei noch für echtes Wohngefühl.
- Vorrüstung E-Auto: Wir denken nicht nur mit, sondern setzen auch direkt um.
Alle unsere Häuser haben eine E-Auto Vorrüstung. Damit sind sie mobil, flexibel und bleiben beweglich. - Rollläden: Ihr Haus sorgt nicht nur für ausreichend Sicherheit, sondern auch für einen sommerlichen Wärmeschutz.
Bereits inklusive sind die Rollläden. - Vorrüstung Photovoltaik: Auch wenn es um Energie geht, können Sie sich sicher sein.
Mit der Photovoltaik-Vorrüstung bleiben Sie flexibel und machen sich unabhängig von steigenden Energiepreisen. Dann, wenn Sie es wollen. Ausreichend Platz für einen Energiespeicher bietet Ihr Hausanschlussraum. - Sanitärausstattung: Ihre Badezimmer sind voll ausgestattet. Dazu gehört auch eine bodengleiche Dusche.
- Elektroausstattung: Wir bieten Ihnen ein wenig mehr.
Ihre Haustechnik sorgt für einen energiegeladenen Alltag, behagliche Wärme und umweltschonendes Wohnvergnügen. - Schlüsselfertig: Ihr Haus wird Ihnen, am Ende der Bauzeit, schlüsselfertig übergeben.
Sie richten sich ganz nach Ihrem Geschmack ein. - Sicher gebaut: Ihr persönlicher Hausbau-Schutzbrief schützt Sie mit einem garantierten Festpreis,
einer Bauzeitgarantie und transparenten Baukosten.






